Только на Циан
Серп и Молот
8 минут пешком
4 800 000 ₽
242 424 ₽/м²
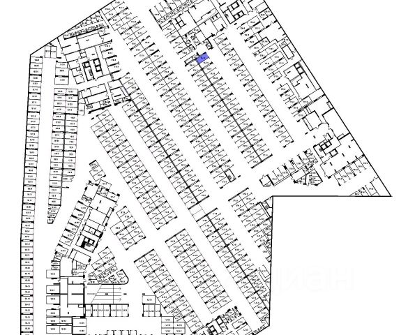
Продаётся просторное машино-место в подземном паркинге на -2 этаже по адресу : Шоссе Энтузиастов дом 1 корпус 2 . площадь 19,8 м2. Расположенное рядом с лифтом .
При желании у стены можно установить Шкаф-бокс , а так же можно хранить велосипеды .
















































































